Projet de maisons en bande sur dalle à Bonnelles

facade_3.jpg
photomontage.jpg
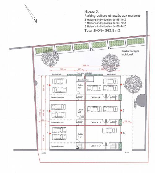
plan_masse_futur.jpg
plan_du_rdc.jpg
plan_du_niveau_1.jpg
coupe_sur_le_terrain.jpg
facade_1.jpg
coupes.jpg
Habitat


• SHON : 708m2
• Nature de la mission : mission esquisse

Maître d’ouvrage
Ville de Bonnelles

78830BONNELLES
France

2010
78 - Yvelines